【物件NO.0024】薩摩川内市五代町(土地)

住宅に最適な土地です。

弊社では、デザイナーズ住宅[SIMPLENOTE]や自由設計も

承っておりますので、何でもお気軽にお尋ねください♪

下記リンク(アイコン)からページに飛べます。

↓↓↓↓↓↓↓↓↓↓↓↓↓↓↓↓↓↓↓↓

こちらの物件の物件番号は「0024」です。

住宅に最適な土地です。

物件概要

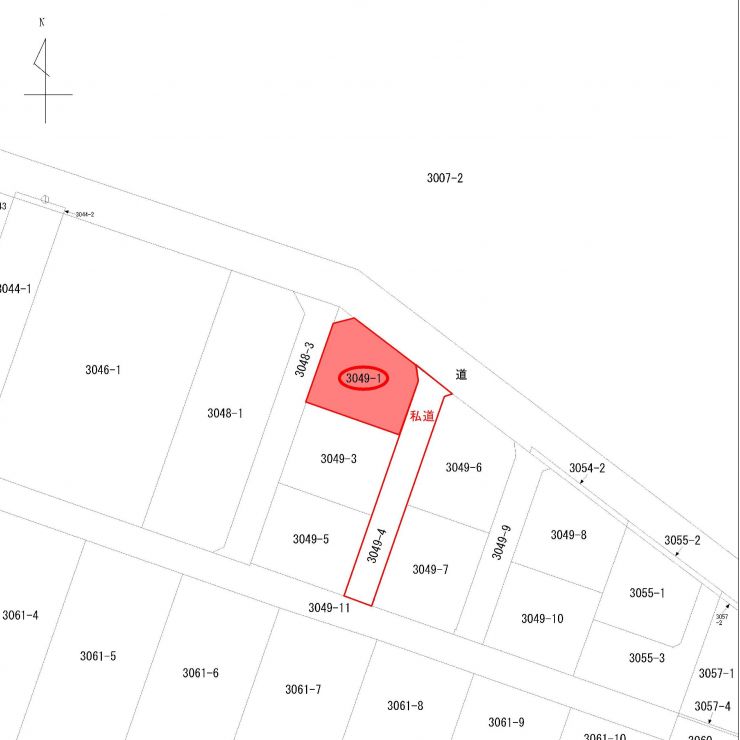
  • 住所:薩摩川内市五代町3049-1
  • 価格:720万円
  • 地目:宅地
  • 面積:226.90㎡(公簿)
  • 坪数:68.63坪
  • 私道負担面積:195.00(共有持分1/20)
  • 土地権利:所有権
  • 用途地域:第二中高層住居専用種地域
  • 取引態様:売主
  • 建築条件:あり
  • 現況渡し